피부 미백&주근깨 > 시술 전후사진

본문 바로가기

1:1
카카오
상담
전화
상담
1:1 카카오 상담 전화상담

시술 전후사진

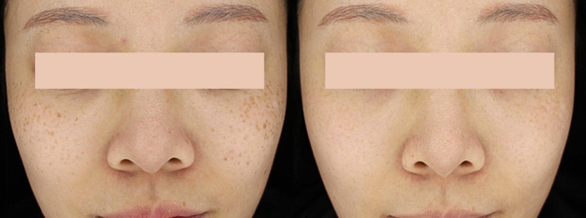
색소치료 피부 미백&주근깨

페이지 정보

본문

c9cbf61f26417eae6bde29d600f9e567_1760429886_1188.jpg
 


전체적인 피부 톤업과

주근깨, 잡티 제거


좌측 시술 전 : 25.08.27

우측 시술 후 : 25.10.13













Contact

경기도 구리시 건원대로 3, 흥화브라운오피스텔 4층, 402-404호
Tel : 031-523-3175
Copyright © 라디앙의원. All rights reserved.